Supertajfun Fung-wong približava se u nedjelju Filipinima, gdje je evakuirano gotovo milijun ljudi, manje od tjedan dana nakon prolaska razornog tajfuna Kalmaegija.
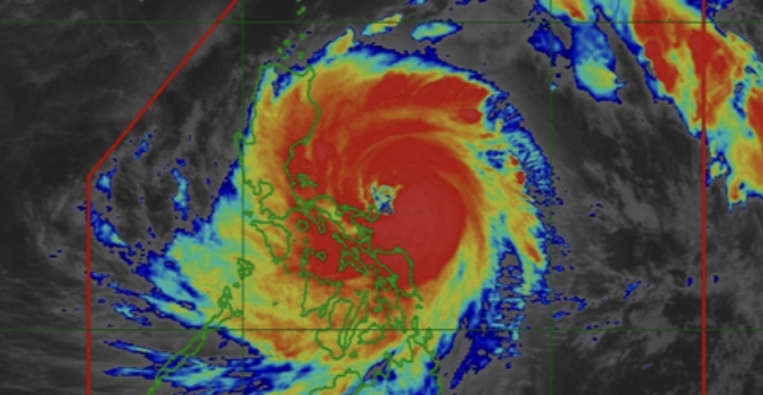
Tajfun Fung-wong, čiji promjer pokriva gotovo cijelu zemlju, kreće se prema arhipelagu s istoka, s vjetrom od 185 km/h is udarima vjetra koji dosežu 230 km/h.
Nacionalna meteorološka služba očekuje da će tijekom noći stići do kopna.
Evakuirano gotovo milijun ljudi
Do ranog poslijepodneva evakuirano je ukupno 916.863 ljudi, rekao je na konferenciji za novinare visoki dužnosnik Civilne zaštite Rafaelito Alejandro.
Škole i javne zgrade ostat će u ponedjeljak zatvorene u većem dijelu zemlje, uključujući i glavni grad Manilu, a gotovo 300 letova već je otkazano, objavile su vlasti.
Valovi su počeli udarati oko 7 sati po lokalnom vremenu.
Prvi na udaru Bicol i Luzon
Prema državnoj meteorološkoj službi Pagasa, tajfun Fung Wong – lokalno poznat kao Uwan – u nedjelju će donijeti snažne vjetrove i kišu u nekoliko područja. Istočna regija Bicol prva se našla na izravnom udaru oluje jutros, dok se očekuje da će Luzon, najveći otok u zemlji, biti pogođen do večeri.
Huge weight behind some of these waves smashing into the waterfront in Baler, these will continue to get bigger and heavier as the day progresses and #typhoon #UwanPH Fung-wong gets closer – @icyclone getting a front row view down there pic.twitter.com/IHNJLHDPdj
— James Reynolds (@EarthUncutTV) November 9, 2025 “>
Zbog dolaska tajfuna, brojne škole otkazale su nastavu za ponedjeljak ili su prešle na online model, a zrakoplovna tvrtka Philippine Airlines otkazala je niz domaćih letova.
Dužnosnici očekuju da će Fung Wong brzo slabiti nakon dolaska na kopno, ali će vjerojatno zadržati snagu tajfuna dok bude prelazio preko Luzona. Stanovnici niskih i obalnih područja, posebno na otoku Catanduanes gdje su jutros zabilježeni ekstremni uvjeti, pozvani su da se evakuiraju na viši teren.
Pripreme na obali
U regiji Aurora na istoku Luzona, novinari BBC-a razgovarali su s 21-godišnjim Hagunoyem, zaposlenikom jednog od desetak hotela uz obalu u Sabangu. Ispričao je kako je lokalna policija proteklih dana obilazila područje kako bi osigurala da se svi gosti evakuiraju prije dolaska oluje.
Jutros svi hoteli bili su prazni, a osoblje je osiguralo ulazna vrata i vezalo prozore užetom kako bi spriječilo pucanje stakla. Hagunoy je rekao da će ostati čuvati imovinu što je duže moguće, prije nego što se motociklom odveze na sigurno.
WATCH: Gusty winds and strong waves along Imelda Boulevard in Virac, Catanduanes on Sunday (Nov. 9, 2025) morning, as Super Typhoon #UwanPH (international name Fung-wong) approaches the province.
Catanduanes is now under Signal No. 5 | Video courtesy of Edson Casarino pic.twitter.com/3i80df1Cob
— Philippine News Agency (@pnagovph) November 9, 2025 “>
Spasilačke akcije obustavljene
Ovaj supertajfun će pogoditi arhipelag samo nekoliko dana nakon Kalmaegija, koji je prema najnovijim vladinim podacima uzrokovao više od 224 smrtna slučaja u zemlji i bio najsmrtonosniji tajfun godine, doznaje se iz specijalizirae baze podataka EM-DAT.
Svake godine oko dvadeset oluja ili tajfuna pogodi ili se približi Filipinima, pri čemu su najsiromašnije regije općenito najteže pogođene.
Prema znanstvenicima, klimatske promjene uzrokovane ljudskom aktivnošću čine ekstremne vremenske događaje češćima, smrtonosnijima i razornijima.
Filipinska vlada proglasila je stanje elementarne nepogode u cijeloj zemlji, što agencijama omogućuje brži pristup hitnim sredstvima te nabavu i isporuku osnovnih potrepština ugroženima.
Strah među stanovništvom
Razaranje koje je ostavio tajfun Kalmaegi pojačalo je tjeskobu stanovnika uoči nove oluje. “Odlučili smo se evakuirati jer je nedavni tajfun donio poplave u naše područje, a sada samo želim zaštititi svoju obitelj”, rekao je Norlito Dugan za novinsku agenciju AFP, jedan od mnogih koji su sklonište potražili u crkvi u gradu Sorsogonu. Druga stanovnica, Maxine Dugan, dodala je: “Ovdje sam jer su valovi blizu moje kuće sada ogromni, živim blizu obale. Vjetrovi su tamo sada vrlo jaki, a valovi su ogromni.”
Current situation in Polangui, Albay, Philippines followingTyphoon Fung-wong (UwanPH) pic.twitter.com/NgyujFEe5t
— Weather Monitor (@WeatherMonitors) November 9, 2025 “>
Zemlja na putu oluja
Filipini su zbog svog položaja u Tihom oceanu jedna od najugroženijih zemalja na svijetu kada je riječ o tropskim ciklonima. Svake godine u toj se regiji formira oko 20 tropskih ciklona, od kojih polovica izravno pogodi zemlju.
Iako se ne smatra da klimatske promjene povećavaju broj uragana, tajfuna i ciklona, topliji oceani i atmosfera imaju potencijal učiniti oluje koje se formiraju znatno intenzivnijima, što može dovesti do jačih vjetrova, obilnijih oborina i većeg rizika od poplava na obali.
